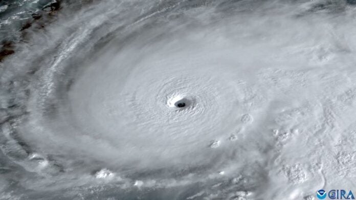
O furacão Melissa atingiu o solo da Jamaica nesta terça-feira (28) como um fenômeno de categoria máxima, segundo o Centro Nacional de Furacões dos EUA. Mais cedo, a Organização Meteorológica Mundial (OMM) afirmou que espera uma situação catastrófica no país caribenho, em decorrência das rajadas de vento superiores a 300 quilômetros por hora, sendo a pior tempestade a atingir a ilha neste século. A costa da cidade de New Hope, a oeste do país, foi a primeira região atingida pelos ventos.
Pelo menos três pessoas já morreram por causas relacionadas à tempestade, informaram as autoridades do país. O Ministério da Saúde e Bem-Estar informou que esses óbitos ocorreram durante os preparativos para o furacão Melissa, em publicação na rede X na noite de segunda-feira.
“É uma situação catastrófica esperada na Jamaica”, disse a especialista em ciclones tropicais da OMM, Anne-Claire Fontan, em uma entrevista coletiva em Genebra. “Para a Jamaica, será com certeza a tempestade do século.”
A tempestade de categoria 5, a mais forte possível na escala Saffir-Simpson, deve levar rajadas de vento de mais de 300 km por hora e uma devastação generalizada à ilha, onde as autoridades ordenaram retiradas obrigatórias.
Ondas de até quatro metros são esperadas, disse ela, com precipitação que deve ultrapassar 700 mm, cerca do dobro da quantidade normalmente esperada durante toda a estação chuvosa. “Isso significa que haverá inundações repentinas e deslizamentos de terra catastróficos”, disse ela.
Este furacão é apenas o segundo de que se tem registro com ventos próximos a 300 km/h. A única outra tempestade com essa força ocorreu antes de os fenômenos serem nomeados oficialmente, e ficou conhecida como furacão do Dia do Trabalho de 1935 à época, os ventos causaram destruição generalizada na região da Flórida e mataram centenas de pessoas.
O Melissa já havia cuasado outras quatro mortes durante a semana: três no Haiti e uma na República Dominicana, onde um adolescente está desaparecido.
O Centro Nacional de Furacões dos Estados Unidos (NHC) prevê que, depois de atingir a Jamaica na terça-feira, a tempestade atravesse o leste de Cuba para seguir sobre as Bahamas e o arquipélago de Turks e Caicos até quarta-feira.
Em Cuba, com dificuldades para divulgar informações preventivas por causa da falta de eletricidade, as autoridades apressam os preparativos para receber na terça-feira os impactos do Melissa.
O Conselho de Defesa Nacional declarou na segunda-feira a “fase de alerta” nas seis províncias do leste (Santiago de Cuba, Guantánamo, Holguín, Camagüey, Granma e Las Tunas). As autoridades começaram a retirar cerca de 650 mil pessoas. A população faz estoques de mantimentos e tenta amarrar com cordas os telhados de suas casas. As aulas e as atividades não essenciais foram suspensas.
TEMPESTADE SE INTENSIFICOU NA APROXIMAÇÃO
O movimento lento do Melissa sobre as águas caribenhas incomumente mornas contribuiu para seu aumento de tamanho e força, disseram os meteorologistas do NHC. O furacão avança mais devagar que uma pessoa andando, a apenas 5 km/h ou menos, o que faz com que permaneça mais tempo em cada local por onde passa.
O NHC informou, ainda na segunda-feira, que os ventos na parede do olho do Melissa são tão fortes que podem causar “falha estrutural total” e cortes generalizados de energia e comunicação.
A Federação Internacional da Cruz Vermelha disse que até 1,5 milhão de pessoas na Jamaica devem ser diretamente afetadas.
“Hoje será muito difícil para dezenas de milhares, senão milhões de pessoas na Jamaica”, disse Necephor Mghendi da Cruz Vermelha, por videoconferência a partir de Port of Spain, em Trinidad e Tobago.
“Os telhados serão postos à prova, as águas das enchentes subirão, o isolamento se tornará uma dura realidade para muitos.” Mais de 800 abrigos foram montados para os deslocados das áreas mais afetadas, acrescentou.
ORDENS DE EVACUAÇÃO
Ventos brutais e chuvas intensas atingiram a Jamaica já na segunda-feira, com a aproximação do Melissa. O primeiro-ministro, Andrew Holness, emitiu uma ordem de retirada obrigatória em partes do sul da ilha, incluindo a histórica cidade de Port Royal.
A tempestade, que se encontra ao sul, “provavelmente girará em direção ao norte, o que significa que poderá ter impacto em nossas costas, mais para o extremo oeste da Jamaica”, disse o primeiro-ministro em entrevista à CNN.
“E se isso acontecer não acredito que exista infraestrutura nesta região capaz de resistir a uma tempestade de categoria 5; portanto, pode haver uma perturbação significativa”, acrescentou.
Com ventos de 280 km/h, Melissa já alcançou a categoria 5, o nível máximo na escala Saffir-Simpson.
Ele alertou sobre danos a plantações, residências e infraestrutura na ilha.
Apesar das ordens de evacuação, muitos moradores da Jamaica decidiram permanecer em suas casas.
“Não vou me mover. Não acho que consiga escapar da morte”, disse à AFP Roy Brown, falando da histórica área costeira de Port Royal, em Kingston. O homem mencionou as condições e más experiências anteriores em abrigos governamentais durante furacões como razões para não evacuar.
“Simplesmente não quero sair”, afirmou à AFP Jennifer Ramdial, uma pescadora que ecoou as palavras de Brown.
Holness afirmou que a retirada era “pelo bem nacional de salvar vidas”. “Foram avisados. Agora depende de vocês usar essa informação para tomar a decisão correta”, disse o primeiro-ministro em entrevista coletiva.
Melissa é a décima terceira tempestade nomeada ou seja, monitorada da temporada de furacões do Atlântico, que se estende do início de junho ao fim de novembro. As fortes chuvas, combinadas com ventos intensos, podem causar uma devastação comparável à de furacões históricos como o Maria (2017) ou o Katrina (2005).
Redação / Folhapress



